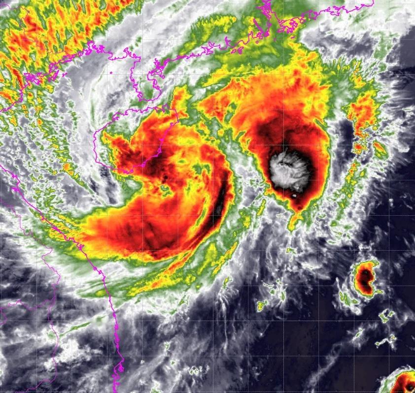
台风风神继续西行,向海南三亚南部近海靠近 台风风神今天中午11时,路径走向继续朝偏西方向,和本人预判预期完全符合一致,预计未来路径继续保持正西,偶尔西北。今天下午到夜里擦过海南三亚南部近海。台风风神目前西分量依旧较大,继续保持正西或西北方向移动,正在向海南三亚南部近海靠近并擦过。天气 台风
台风风神两天内生成,台风海鸥也有生成信号台风风神风神最快两天内生成,强度一般最
【2评论】【3点赞】
台风风神继续西行,向海南三亚南部近海靠近 台风风神今天中午11时,路径走向继续朝偏西方向,和本人预判预期完全符合一致,预计未来路径继续保持正西,偶尔西北。今天下午到夜里擦过海南三亚南部近海。台风风神目前西分量依旧较大,继续保持正西或西北方向移动,正在向海南三亚南部近海靠近并擦过。天气 台风
猜你喜欢
【2评论】【3点赞】
【1评论】
【4评论】【2点赞】
作者最新文章
热门分类
社会TOP
社会最新文章